Der Stadtrat der Stadt Bitburg hat in seiner Sitzung am 22.05.2025 den Beschluss gefasst,
die 3. Änderung des Bebauungsplans Nr. 60 „Schleifmühle / Europäisches
Berufsbildungswerk“ aufzustellen. Der Beschluss über die Einleitung des
Bauleitplanverfahrens wird hiermit gemäß § 2 Abs. 1 BauGB ortsüblich öffentlich bekannt
gemacht.
In gleicher Sitzung des Stadtrates am 22.05.2025 wurde auch der Entwurf des
Bebauungsplans gebilligt sowie die Beteiligung der Öffentlichkeit nach § 3 Abs. 2 BauGB und
Behörden sowie sonstigen Träger öffentlicher Belange nach § 4 Abs. 2 BauGB beschlossen.
Der Öffentlichkeit sowie den berührten Behörden und Träger öffentlicher Belange wird damit
Gelegenheit zur Stellungnahme gegeben. Auch Kinder und Jugendliche sind Teil der
Öffentlichkeit i.S.d. § 3 Abs. 2 BauGB.
Gemäß § 4b BauGB wurde die ISU GmbH, Bitburg sowohl mit der Durchführung der
Beteiligung der Öffentlichkeit gemäß § 3 Abs. 2 BauGB als auch mit der Beteiligung der
Behörden und sonstigen Träger öffentlicher Belange gemäß § 4 Abs. 2 BauGB beauftragt.
Gemäß § 4a Abs. 2 BauGB wird von der Möglichkeit Gebrauch gemacht, beide
Verfahrensschritte gleichzeitig durchzuführen.
Das Bebauungsplanverfahren erfolgt im beschleunigten Verfahren gemäß § 13a BauGB als
Bebauungsplan der Innenentwicklung. Im beschleunigten Verfahren wird gemäß
§ 13a Abs. 2 Nr. 1 in Verbindung mit § 13 Abs. 3 Satz 1 BauGB von der Umweltprüfung nach
§ 2 Abs. 4 BauGB, von dem Umweltbericht nach § 2a BauGB, von der Angabe nach § 3 Abs.
2 Satz 2 BauGB, welche Arten umweltbezogener Informationen verfügbar sind sowie von der
zusammenfassenden Erklärung nach § 10a Abs. 1 BauGB abgesehen. Gemäß § 13 Abs. 2
Satz 1 Nr. 1 BauGB wird hier von der frühzeitigen Unterrichtung und Erörterung nach
§ 3 Abs. 1 und § 4 Abs. 1 BauGB abgesehen.
Es besteht bereits die Möglichkeit, sich nach Terminvereinbarung zunächst beim
Planungsbüro ISU gemäß § 13a Abs. 3 Satz 1 Nr. 2 BauGB über die allgemeinen Ziele und
Zwecke sowie die wesentlichen Auswirkungen der Planung zu informieren. Das Planungsbüro
ISU ist während der allgemeinen Geschäftszeiten von montags bis freitags von 08:30 Uhr bis
12:30 Uhr und von 14:00 Uhr bis 16:30 Uhr unter der Telefonnummer 06561/9449-0 oder per
Email unter info@i-s-u.de zu erreichen.
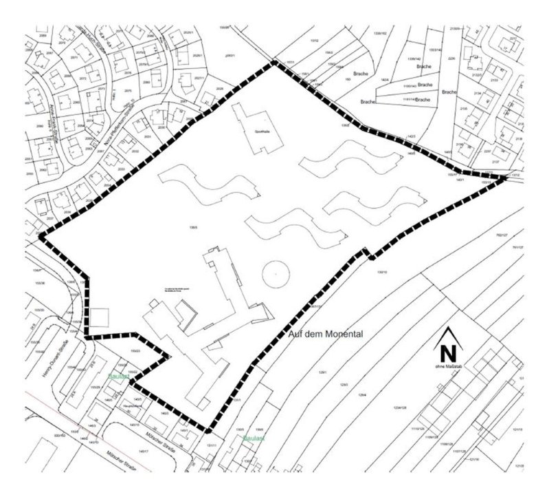
Lage und Abgrenzung des Plangebietes:
Der Geltungsbereich befindet sich im Osten der Kernstadt Bitburg an der Mötscher und
Henry-Dunant-Straße. Er umfasst das Flurstück 136/5 in der Flur 6, Gemarkung Bitburg.
Die Abgrenzung des Geltungsbereiches ist der nachfolgenden Abbildung zu entnehmen. Die
inhaltlichen Änderungen beziehen sich jedoch allein auf die textlichen Festsetzungen.
Änderungen der Planzeichnung oder der Abgrenzung des Geltungsbereichs des bestehenden
Bebauungsplans Nr. 60 „Schleifmühle / Europäisches Berufsbildungswerk“ werden nicht
vorgenommen.

Beteiligung der Öffentlichkeit und öffentliche Auslegung der Planunterlagen:
Hiermit erfolgt die Bekanntmachung der Öffentlichkeitsbeteiligung gemäß § 3 Abs. 2 BauGB.
Die Öffentlichkeitsbeteiligung findet in Form einer Veröffentlichung der Unterlagen auf der
Internetseite der Stadt Bitburg statt.
Die Entwurfsunterlagen zum Bebauungsplan werden in der Zeit vom
08. September 2025 bis einschließlich 10. Oktober 2025
im Internet auf der Seite der Stadt Bitburg www.bitburg.de (im Hauptmenü siehe „Aktuelles >
Bauleitplanung“) veröffentlicht.
Der Entwurf des Bebauungsplans besteht aus:
1. Textfestsetzungen,
2. Begründung (städtebaulicher Teil) mit Darlegung der allgemeinen Ziele und
Auswirkungen des Bebauungsplans.
Die vorgenannten Unterlagen werden als zusätzliches Informationsangebot in diesem Zeitraum
bei den nachfolgenden Stellen während der genannten Dienststunden zur Einsichtnahme
ausgelegt:
Stadtverwaltung Bitburg, Rathaus, Geschäftsbereich 3, Zimmer 301, Rathausplatz 3-4, 54634
Bitburg, während der Dienststunden i.d.R. jeweils in den Zeiten montags bis freitags von
8:30 Uhr bis 12:30 Uhr, montags bis mittwochs von 14:00 Uhr bis 16:00 Uhr und donnerstags
von 14:00 Uhr bis 18:00 Uhr.
In begründeten Einzelfällen kann auf Antrag auch eine Übersendung der Unterlagen erfolgen
(§ 3 Abs. 2 PlanSiG).
Darüber hinaus wird die Planung in das zentrale Internetportal des Landes unter
https://geoportal.rlp.de eingestellt.
Während der Auslegungsfrist können Stellungnahmen zur Planung bei den oben genannten
Stellen vorgebracht werden. Darüber hinaus können Stellungnahmen schriftlich eingereicht
(per Briefeinwurf, Postzustellung) oder per E-Mail an m.zimmermann@i-s-u.de gerichtet
werden.
Es wird zudem darauf hingewiesen, dass gemäß § 3 Abs. 2 S. 4 Nr. 3 und § 4a Abs. 5 BauGB
nicht während der Veröffentlichungsfrist abgegebene Stellungnahmen bei der Beschlussfassung
über den Bebauungsplan unberücksichtigt bleiben können, soweit die Stadt Bitburg
deren Inhalt nicht kannte und nicht hätte kennen müssen und deren Inhalt für die
Rechtmäßigkeit des Bebauungsplans nicht von Bedeutung ist (§ 4a Abs. 6 i.V.m. § 3 Abs. 2
S. 2 BauGB).
Darüber hinaus wird darauf hingewiesen, dass die zum Bauleitplanverfahren abgegebenen
Stellungnahmen in öffentlicher Sitzung der jeweils zuständigen städtischen Gremien beraten
werden und somit personenbezogene Daten, soweit für das Bauleitplanverfahren erforderlich,
den zuständigen städtischen Gremien und mithin der Öffentlichkeit zur Verfügung gestellt
werden.
Bitburg, 26. August 2025
Joachim Kandels
Bürgermeister
